Windmolen van Brussegem
Brussegem (Merchtem), Vlaanderen, Vlaams-Brabant
- Naam
- Windmolen van Brussegem
- Ligging
- Heirbaan
1785 Brussegem (Merchtem)
Brussegemberg
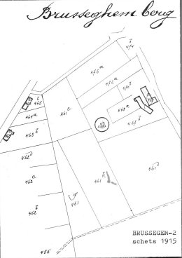
400 m ZO v.d. kerk
kadasterperceel G466 - Gebouwd
- 1626
- Verdwenen
- 1914, oorlog
- Type
- Staakmolen met open voet
- Functie
- Oliemolen, korenmolen
- Bescherming
- niet
- Database nummer
- 3091
- Laatste mutatie
- Overige mutatie, 30-03-2022
Karakteristiek
Beschrijving / geschiedenis
De Windmolen van Brussegem was een houten korenwindmolen op Brussegemberg, aan de Heirbaan, op 400 meter ten zuidoosten van de kerk.
De standaardmolen werd in 1626 opgericht.
Eigenaars na 1830:
- voor 1834, eigenaar: Houman-Pisson Nicolaus, te Brussegem
- 08.07.1836, erfenis: de weduwe en kinderen (overlijden van Nicolaus Houman)
- 10.05.1860, verkoop: Houman-Vanbruggen Cornelius, molenaar te Brussegem (notaris Janssens)
- 10.01.1908, erfenis: en de kinderen (overlijden van vrouw Vanbruggen)
- 10.04.1913, verkoop: Houman-D'Houwer Jozef Gustaaf, landbouwer te Brussegem (notaris Van den Broeck)
De molen brandde af in 1914 bij de inval van de Duitsers. Er volgde geen heropbouw.
Lieven DENEWET & Herman HOLEMANS
Literatuur
J. Van Overstraeten, "De molens van Borchtlombeek en Brussegem", in: De Galm, 8 maart 1947.
Herman Holemans, "Kadastergegevens: 1835-1985. Brabantse wind- en watermolens. Deel 2: arrondissement Halle-Vilvoorde (A-L)", Kinrooi, Studiekring Ons Molenheem", 1991, p. 28.
M.A. Duwaerts e.a., "De molens in Brabant", Brussel, Dienst voor Geschiedkundige en Folkloristische Opzoekingen van de Provincie Brabant, 1961.
